Community website by MBC/Ernest Abrams. Call 808-739-9797 for advertising/sponsorship
Ala Moana - Honolulu, Hawaii
News Item- Powered by MBC NewsMaker
Traffic Advisory: Rehabilitation Of Localized Streets In Kalihi
- Tweet

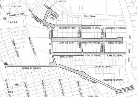
HONOLULU – The public is advised that there will be roadwork on various streets in the Kalihi area. The project on Pu‘uhale Road, Kopke Street, Gulick Avenue, Bannister Street and Place, Waterhouse Street, Stanley Street, and Wilcox Lane started this week and expected to be completed in September 2021.
Working hours are between 8:30 a.m. to 3:30 p.m., Monday through Friday, and possibly Saturdays from 9 a.m. to 5:30 p.m. Motorists are advised to observe all construction signs and traffic control devices, use caution while driving through the construction area and allow for extra travel time.
The project includes resurfacing asphalt concrete pavements, reconstruction of existing concrete curb and/or gutters, and reconstruction of existing concrete sidewalks.
For additional information please contact the Department of Design and Construction at (808) 768-8442.
Questions? Ready for an appointment?
Featured Product/Service
- RELATED LINKS
Calendar
Check out things to do in Ala Moana - Honolulu, Hawaii on the calendar of events.News and Newsletters
Keep up with the latest news and happenings in the Ala Moana - Honolulu, Hawaii community.Ala Moana Honolulu, Hawaii Featured Pages
View our directory of feature pages showcasing all the great things Ala Moana - Honolulu, Hawaii has to offer.Featured Sponsors Offers
Great offers from our sponsors who support the Ala Moana - Honolulu, Hawaii Community More...Ala Moana - Honolulu, Hawaii Coupons & Discounts
Save money in Ala Moana - Honolulu, Hawaii with these coupons.About Ala Moana - Honolulu Hawaii
Learn about Ala Moana - Honolulu, Hawaii.About Ala Moana HI .com
Learn about Ala Moana HI .com website and its creator.
Please send questions about this website to
Copyright© 2015 - 2021 AlaMoanaHI.com. All rights reserved.
Terms of Use / Legal Disclaimer / Privacy Statement
Site Designed and Managed by MacBusiness Consulting
Terms of Use / Legal Disclaimer / Privacy Statement
Site Designed and Managed by MacBusiness Consulting
